2005年城市规划实务真题7
更新时间:2013-03-15 12:58:13
来源:|0
浏览
收藏
城乡规划师报名、考试、查分时间 免费短信提醒
摘要 城市规划师实务
点击进入:2005年城市规划实务真题汇总
试题四:(15′)
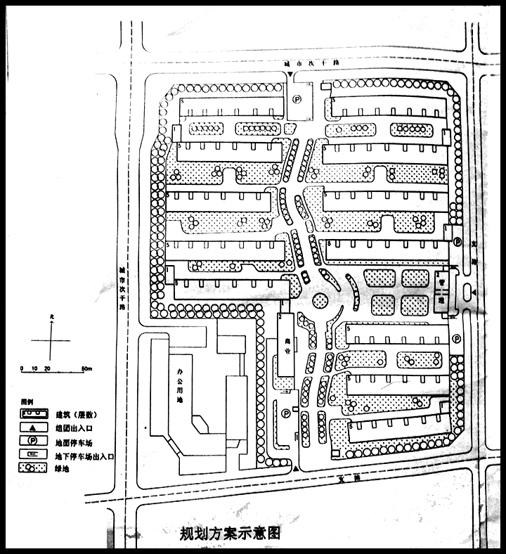
图为某市一个居住区组团规划方案,规划用地9平方米,规划住宅户数800户,人口约3000人.该地块西,北临城市次干路,东南两侧为支路,在地块外西南角为现状行政办公用地,根据当地规划条件要求,住宅建筑均为5层,层高2.8米,日照系数不少于1.4.该规划方案布置了12幢住宅楼及物流管理和商业建筑;结合组团出入口安排地面和地下停车场,并有市政工程和环卫设施配套.
评析该方案,具体指出方案的主要优点和存在的问题.

编辑推荐:2013年城市规划师VIP套餐 抢先热招
编辑推荐
上一篇:2005年城市规划实务真题6
下一篇:2005年城市规划实务真题8
最新资讯
- 2025注册城乡规划师真题下载:全新真题与备考资料,助你轻松备战考试2025-09-29
- 2025注册城乡规划师原理真题完整版更新:全新真题解析2025-09-29
- 2025注册城乡规划师考试真题解析与备考建议2025-09-28
- 城乡规划师历年真题解析:2025年四科完整版已发布,下载对照快速估分2025-09-28
- 2025注册城乡规划师历年真题:《法规》答案解析已更新2025-09-26
- 2025注册城乡规划师真题,《法规》答案解析更新版:备考必读指南2025-09-26
- 2025城乡规划师实务真题公布,(7大题答案已更新),快来对答案2025-09-24
- 2025城乡规划师实务真题及答案公布:7大题已更新,考后快来估分2025-09-24
- 对答案!2025注册城乡规划师真题试卷发布,《实务》答案解析(7题全)2025-09-24
- 2025注册城乡规划师实务真题公布,答案解析+考后估分2025-09-24