Authorities in the Philippines are bracing for the arrival of Typhoon Haiyan, which is expected to strike central parts of the country on Friday.
菲律宾当局正在准备迎接台风海燕的到来,此次台风预计将于周五到达菲律宾中部地区。

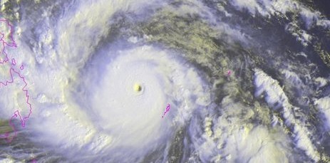
Haiyan, a category five storm, is moving towards the South East Asian nation with winds of up to 278 km/h.
Some schools have already been closed and evacuations are under way in some areas.
Ferry operations have been suspended and fishing boats ordered back to port.
Evacuations
Typhoon Haiyan is expected to make landfall around noon on Friday between the islands of Samar and Leyte.
It is predicted to hit central areas already struggling to recover from a 7.3-magnitude earthquake last month, including the worst-hit island of Bohol.
Around 5,000 people are still living in tents in Bohol after losing their homes in the quake.
Meteorologists in the Philippines warned that Haiyan could be as devastating as Typhoon Botha in 2012.
Botha devastated parts of the southern Philippines, leaving at least 1,000 people dead and causing more than $1bn in damage.
"This is a very dangerous typhoon, local officials know where the vulnerable areas are and have given instructions on evacuations," state weather forecaster Glaiza Escullar told AFP.
"There are not too many mountains on its path to deflect the force of impact, making it more dangerous."
Haiyan is the 25th typhoon to enter Philippines territory this year.
更多雅思相关信息敬请关注: